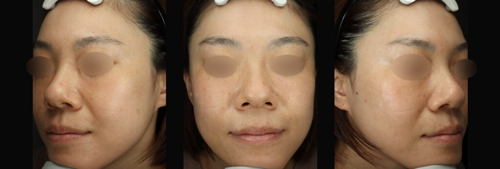
CASE 症例紹介
くま



裏ハムラ法
クマ取りの施術で裏ハムラ法を行った患者様です。
こちらの患者様は20代のころからクマが目立ち始め、ここ数年でより目立つようになってしまったため、
その悩みを解消すべくご来院されました。
疲れてないのに「疲れてる?」と聞かれることが増えたそうです。
今回は裏ハムラ法を施行しました。
裏ハムラ法は、下まぶたの裏側(結膜側)から切開し、脂肪を再配置する手術です。
表ハムラ法と同様に脂肪の再配置を行いますが、皮膚表面に傷が残らないのが特徴です。
皮膚のたるみが軽度の場合に適しています。
表ハムラ法は下まぶたを皮膚側から切開し脂肪を移動、余剰皮膚や筋のゆるみも同時に整えるためたるみが強い人に向いていますが、
裏ハムラ法は結膜側から切開し外見の傷が残りにくく、主に凹凸・クマ改善が目的になります。
- 裏ハムラ法参考価格
- 眼窩脂肪移動術(ハムラ法(裏))
片目 224,400円(税込)
両目 374,000円(税込) - 副作用
- 腫れ、内出血、痛み、違和感結膜のむくみ(結膜浮腫)
感染、血腫
ドライアイ、充血、角膜の刺激・傷
下まぶた〜頬の感覚の鈍さ
くま



表ハムラ法+ミッドフェイスリフト
クマ治療として表ハムラ法を行った患者様です
術前から術後までの経過を動画で記録した貴重な症例です。
ハムラ法とは目の下のしわ、たるみ、シワ、クマを自然に目立たせなくする手術の方法です。
ヒアルロン酸治療では決して再現できない、本来の下眼瞼の美しい立体感を取り戻せるのがハムラ法です。
今回は同時にミッドフェイスリフトも行いました。
ミッドフェイスリフトは横顔を比べると効果が明らかです。
頬の高さが術前より上に上がって若々しい印象になりました。
ハムラ法を行う上で出来た傷口から、下垂した頬の脂肪を引き上げることで
ゴルゴ線や頬のたるみ、ほうれい線などの改善を目指します。
中顔面のたるみを解消し、綺麗な輪郭へと導くフェイスリフトです。
ハムラ法と同時施術だとミッドフェイスリフトがオプション価格で受けることが出来ます
頬の脂肪はアプローチが難しく、通常のフェイスリフトでは手が届かない為、
ハムラ法をやるときがチャンスです。
目の下のたるみと頬のたるみを同時に改善することが出来ます。
目の下のたるみ、クマでお悩みの方は是非ご相談下さい。
- 表ハムラ法参考価格
- 眼窩脂肪移動術(ハムラ法(表))
片目 税込 290,400円
両目 税込 484,000円
ミッドフェイスリフト
ハムラ法と同時施術の場合 オプション治療 ¥110,000 (税込) - 副作用
- ・術後に、下まぶたから頬部あたりの腫れや内出血が起こりますが、3~4週間ほどで徐々に引いていきます。
くま


表ハムラ法
クマ治療として表ハムラ法を行った患者様です
目の下のくまは30代くらいから気になっていて、数年前にヒアルロン酸治療を2回行ったとのこと。
それでもあまり改善されず。特に左側のクマが目立つという点を悩まれていらっしゃいました。
ハムラ法とは目の下のしわ、たるみ、シワ、クマを自然に目立たせなくする手術の方法です。
ヒアルロン酸治療では決して再現できない、本来の下眼瞼の美しい立体感を取り戻せるのがハムラ法です。
目の下のたるみ、クマでお悩みの方は是非ご相談下さい。
- 表ハムラ法参考価格
- 眼窩脂肪移動術(ハムラ法(表))
片目 税込 290,400円
両目 税込 484,000円
- 副作用
- ・術後に、下まぶたから頬部あたりの腫れや内出血が起こりますが、3~4週間ほどで徐々に引いていきます。
くま



表ハムラ法+ミッドフェイスリフト
クマ治療として表ハムラ法を行った患者様です
ハムラ法とは目の下のしわ、たるみ、シワ、クマを自然に目立たせなくする手術の方法です。
ヒアルロン酸治療では決して再現できない、本来の下眼瞼の美しい立体感を取り戻せるのがハムラ法です。
今回は同時にミッドフェイスリフトも行いました。
ハムラ法を行う上で出来た傷口から、下垂した頬の脂肪を引き上げることで
ゴルゴ線や頬のたるみ、ほうれい線などの改善を目指します。
中顔面のたるみを解消し、綺麗な輪郭へと導くフェイスリフトです。
ハムラ法と同時施術だとミッドフェイスリフトがオプション価格で受けることが出来ます
頬の脂肪はアプローチが難しく、通常のフェイスリフトでは手が届かない為、
ハムラ法をやるときがチャンスです。
目の下のたるみと頬のたるみを同時に改善することが出来ます。
- 表ハムラ法参考価格
- 眼窩脂肪移動術(ハムラ法(表))
片目 税込 290,400円
両目 税込 484,000円
ミッドフェイスリフト
ハムラ法と同時施術の場合 オプション治療 ¥110,000 (税込)
- 副作用
- ・術後に、下まぶたから頬部あたりの腫れや内出血が起こりますが、3~4週間ほどで徐々に引いていきます。
ハムラ法


ハムラ法
眼窩脂肪移動術(ハムラ法)を行った患者様の症例写真です。
目の下のしわ、たるみ、シワ、クマを自然に目立たせなくする手術の方法です。
目の下のクマやたるみは、年齢以上に顔を老けて見える要因のひとつで、多くの方がお悩みを抱えていらっしゃいます。
ハムラ法とは目の下の余分な脂肪を除去すると同時に、余分な脂肪を目の下の方に逃がしながら固定することで、
目元にナチュラルな曲線をつくり、手術後も長持ちさせる方法です。
半年が経過しても効果は続いています。たるみやクマがなく、スッキリした目元を保ったままです。
側面から見ると目の下の膨らみが大きく改善していることがわかりますね。
- 参考価格
- 眼窩脂肪移動術(ハムラ法(表))
片目 税込 261,360円
両目 税込 435,600円 - 副作用
- ・術後に、下まぶたから頬部あたりの腫れや内出血が起こりますが、3~4週間ほどで徐々に引いていきます。
ハムラ法

ハムラ法
眼窩脂肪移動術(ハムラ法)を行った患者様の症例写真です。
目の下のしわ、たるみ、シワ、クマを自然に目立たせなくする手術の方法です。
目の下のクマやたるみは、年齢以上に顔を老けて見える要因のひとつで、多くの方がお悩みを抱えていらっしゃいます。
ハムラ法とは目の下の余分な脂肪を除去すると同時に、余分な脂肪を目の下の方に逃がしながら固定することで、目元にナチュラルな曲線をつくり、手術後も長持ちさせる方法です。
「いろんな症例を見てきたけど、こんなに腫れないなんて驚いた。内出血も目立たなくて助かりました。」
とのお言葉をいただきました。ありがとうございます。
- 参考価格
- 片目 税込 261,360円
両目 税込 435,600円 - 副作用
- ・術後に、下まぶたから頬部あたりの腫れや内出血が起こりますが、3~4週間ほどで徐々に引いていきます。
HOT NEWS
ホットニュース
DOCTOR
このページの監修医について
スキンクリニック藤枝院長
小野健太郎
Kentaro Ono
医師として、また藤枝に住む一人として、地域のみなさまの"キレイ"のかかりつけ医として、真摯に診療に取り組んでまいります。
どうぞ当院ともども、よろしくお願い申し上げます。
経歴
-
2003年
東京大学教育学部卒
-
2007年
群馬大学医学部卒
-
2009年
厚木市立病院(神奈川県厚木市)
初期臨床研修修了
昭和大学病院 形成外科 -
2010年
聖路加国際病院 形成外科
-
2013年
山梨大学医学部付属病院 形成外科
-
2016年
スキンクリニック藤枝 開院
資格
-
・日本形成外科学会学会認定専門医
-
・アメリカ形成外科学会(ASPS) 正会員
-
・ 日本皮膚科学会 正会員
-
・日本美容外科学会(JSAPS) 正会員
-
・日本GID(性同一性障害)学会 正会員
-
・山梨大学医学部形成外科 非常勤講師
HOT MENU 人気の施術
COLUMN
最新コラム
CLINIC 医院紹介
スキンクリニック藤枝院
- 所在地
-
〒426-0067
静岡県藤枝市前島1-3-1
ホテルオーレ 3階
JR藤枝駅 南口2階より直結 改札より徒歩2分 - 診療時間
- 10:00〜19:00
- 休診日
- 火曜・水曜
- ご予約
- 054-631-9806
休診カレンダー
周辺マップ
スキンクリニック掛川院
- 所在地
-
〒436-0077
静岡県掛川市駅前5-12
ポレスター掛川ステーションレジデンス104
JR掛川駅 北口より徒歩3分 - 診療時間
- 10:00〜19:00
- 休診日
- 木曜・金曜
- ご予約
- 0537-26-9206
休診カレンダー
周辺マップ




















